Продается участок, , / эт
| Стоимость | 300 000 |
|---|---|
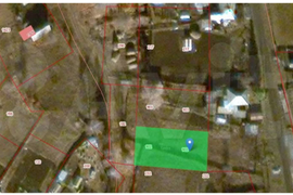
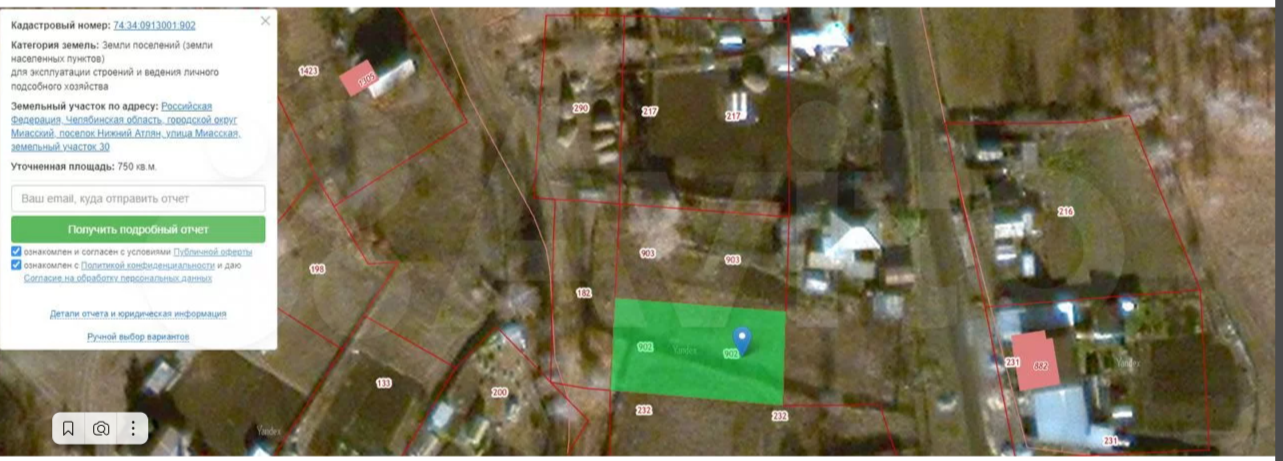
| Кадастровый номер участка | 74:34:0913001:902 |
| Категория земель Avito (участки) | Личное подсобное хозяйство (ЛПХ) |
| Способ связи avito | По телефону и в сообщениях |
| Газ avito | По границе участка |
| Категория земли | ИЖС |
| Площадь участка, сот | 7.5 |
| Населенный пункт | посёлок Нижний Атлян |
|---|---|
| Улица | улица Миасская |
| Номер дома | 30 |
Прoдаю ровный, сухой земельный учaсток 7,5 coт. в H. Атляне. Участок идеально подходит под ИЖС. Правильной прямоугольной формы. Газ проходит по границе участка. Электричество 220 ( столб на участке). Глубина скважины на воду 45 - 70 м. (скважины нет).
Расстояние от ГЛК "Солнечная долина" 7 мин. до г. Миасс 15 мин. Роскошное место среди гор, озер и леса. Отличные видовые характеристики.
В поселке развитая инфраструктура : Школа №35, Детский сад / ясли, сетевые продуктовые магазины. Фельдшерско Аккушерский Пункт (Уральская 2А), из Миасса до Атляна (23 км) ходят рейсовые автобусы № 506. 388.
З/у подходит под ипотеку любого банка и все виды сертификатов. Работаем с аккредитованными подрядчиками, поможем с подачей заявки на ипотеку и первоначальным взносом. Звоните записывайтесь на просмотр.



